4810 51 St, Bruderheim, Alberta

$450,000

Previous Next

7.44

Acres

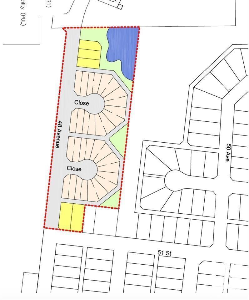
About 4810 51 St

Serviced land ready for development. Located in the town of Bruderheim. 7.44 acres parcel, has a development plan prepared by Stantec engineering. This serviced land is a prime location in the heart of Bruderheim Alberta, perfect for residential development.It has an area structure plan already prepared by Stantec engineering. (id:6289)

Vacant Land property for sale in Bruderheim, Alberta at 4810 51 St.

Features of 4810 51 St

Listing # E4320774
Price $450,000
Bathrooms 0.00
Acres 7.44
Type Vacant Land

Community Information: Bruderheim

Address 4810 51 St
Subdivision Bruderheim
City Bruderheim
Province Alberta
Postal Code T0B0S0

Amenities of 4810 51 St

Is Waterfront No
Has Pool No

Interior of 4810 51 St

Fireplace No
Has Basement No

Listing Details

OfficeMaxWell Polaris

Listing Map

Request a Showing

Provide a valid email address.
When would you like to view this property?